今日の石垣島【2025年9月16日】

こんにちは、初心者専門マリンサービスサンフィッシュ石垣島のはまちゃんです!

今日の石垣島は曇り時々晴れで、最高気温は30.3°C、最低気温は30.1°Cと、まさに熱帯のリゾート地を感じる一日でした。

風は南東の風が6.5m/sで心地よく、海の上でも快適に過ごせる一日でした。

少し雲が多めだったものの、海の透明度は素晴らしく、潜った瞬間に水中の世界が広がりました。

この記事を書いた人🙋(ガイド歴17年 PADI インストラクター
浜 佑介

マリンサービスサンフィッシュ石垣島を運営する私「浜 佑介」は、石垣島や沖縄の様々な情報に精通しています。

石垣島の無料旅行相談会も行っています

目次

🌤️ 今日の天気と海の様子

海は穏やかで、シュノーケリングにもぴったりなコンディションでした。

水温は約28°Cで、海に入った瞬間に「気持ちいい〜!」という声があちこちから聞こえてきます。

リーフの上では、カラフルな魚たちが元気に泳ぎ回り、今日も癒しの世界が広がっていました。

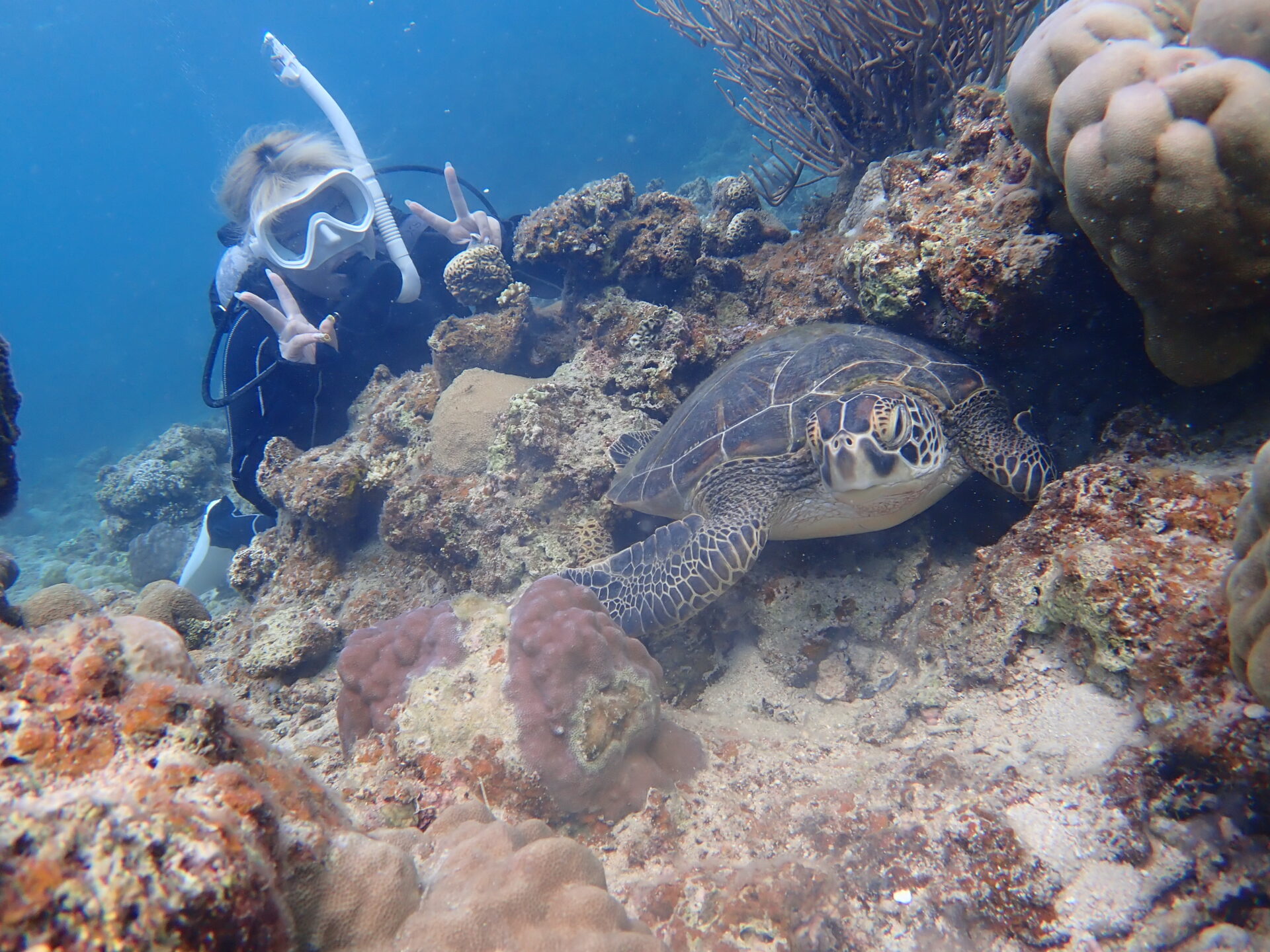
📸 今日の1枚

今日の投稿に載せている写真は、「ウミガメに出会った瞬間」です。

白い砂浜とエメラルドグリーンの海、そして笑顔いっぱいのゲストの皆さんが写っています。

今日は特にお子さんの初めての海体験が印象的で、最初は少し緊張していた様子が、すぐに浮き輪を離して泳げるようになりました。

その後、ウミガメに出会えた瞬間は、私たちスタッフも一緒に感動しちゃいました。

📣 スタッフのひとこと

今日は天気にも海況にも恵まれて、本当に気持ちのいい一日でした。

明日も素敵な出会いが待っていることを願っています。

石垣島の海で遊びたくなったら、初心者専門マリンサービスサンフィッシュ石垣島へぜひお越しください!

最安価格保証!
「石垣島で何やる?」迷ったらコレ!

スクロールできます

幻の島&ウミガメorマンタシュノーケリング

\人気No1ツアー!/

幻の島上陸&シュノーケリング

\家族に人気!/

1日シュノーケリング

\た~っぷり遊びたい人へ!/

青の洞窟シュノーケリング

\ビーチから青の洞窟へ!/

よかったらシェアしてね!
  • URLをコピーしました!
  • URLをコピーしました!
目次